Fondo Naturaleza Chile y OCF Mar de Juan Fernández realizan gira técnica a Guatemala para conocer la experiencia de MAR Fund, en el marco del Proyecto BRIDGE

Fortaleciendo la conservación de áreas protegidas marino-costeras en el SAM: MAR Fund anuncia el lanzamiento de la segunda convocatoria de Fase III y las propuestas seleccionadas en la primera convocatoria

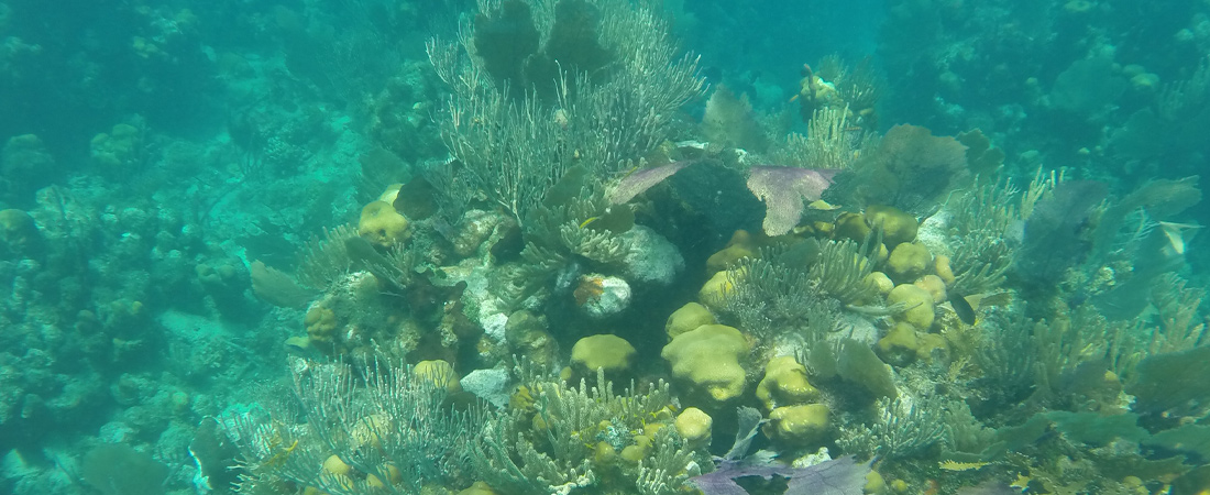
Comités Coordinadores de Respuesta post-tormenta del Atlántico Hondureño se capacitan para proteger sus arrecifes de coral

Un vistazo al valor económico del Sistema Arrecifal Mesoamericano en Honduras

Reunión del comité de respuesta para arrecifes del Caribe de Guatemala

Restauración de arrecifes de Cozumel para contar con más corales vivos.

¡MAR+Invest inicia su segunda fase!

Boletín de Prensa: Taller Regional Virtual para el Intercambio de Experiencias en Capacidad de Respuesta Post Tormenta para Mitigar el Impacto de Huracanes en Arrecifes de Coral

MAR Fund presentó el seguro paramétrico para arrecifes en
La Semana del Clima de América Latina y el Caribe 2023

Belize Audubon Society’s Reef Protectors Program: Empowering Youths as Champions of Marine Conservation




